Bakung Menguat, Dua Sistem di Hindia Picu Peringatan BMKG
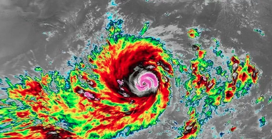
CakrawalaWorld.net – BMKG mengonfirmasi Bibit Siklon 91S di Samudra Hindia barat daya Lampung berkembang menjadi Siklon Tropis Bakung pada Jumat, 12 Desember 2025 pukul 19.00 WIB. Sistem mencatat angin maksimum 35 knot (sekitar 65 km/jam) dan tekanan 1.000 hPa.
Kepala BMKG Teuku Faisal Fathani mengatakan Bakung bergerak ke barat daya dan menjauhi Indonesia, tetapi tetap berpotensi memicu cuaca ekstrem dan gelombang tinggi secara tidak langsung dalam 1–2 hari.
“BMKG telah menyampaikan peringatan dini secara bertahap dan berkelanjutan kepada masyarakat serta sektor terkait,” kata Faisal pada konferensi pers Bibit 91S dan 93S, Jumat, 12 Desember 2025.
Forecast 24 Jam: Bakung Menuju Kategori Dua
BMKG memprediksi Bakung menguat dalam 24 jam dengan angin maksimum mencapai 55 knot (sekitar 100 km/jam) dan tekanan turun sekitar 988 hPa. Proyeksi ini menandai penguatan sistem menjadi siklon kategori dua, dengan lintasan tetap ke barat daya sehingga pusatnya makin jauh dari Indonesia.
Efek Tidak Langsung: Darat dan Laut
BMKG mencatat potensi hujan sedang hingga lebat di sebagian Bengkulu, Lampung, dan Banten. Peluang angin kencang muncul di Bengkulu. Di perairan, BMKG memperingatkan gelombang 1,25–2,5 meter di Samudra Hindia barat Mentawai–Lampung, Samudra Hindia selatan Banten–Jawa Barat, serta Selat Sunda bagian selatan.
BMKG juga menyoroti Bibit Siklon Tropis 93S di selatan Bali–Nusa Tenggara, sekitar 12,0° LS dan 115,8° BT. Deputi Meteorologi BMKG Guswanto menilai peluangnya menjadi siklon masih rendah. “Dalam 24 hingga 72 jam ke depan, peluang 93S berkembang menjadi siklon tropis masih tergolong rendah,” ujar Guswanto.
Direktur Meteorologi Publik BMKG Andri Ramdhani meminta warga di wilayah terdampak meningkatkan kewaspadaan, membatasi aktivitas luar ruang, serta mengikuti mitigasi BPBD. BMKG mengarahkan pemantauan melalui InfoBMKG, @infoBMKG, TCWC Jakarta, dan call center 196. Faisal menegaskan BMKG memantau kedua sistem real time dan akan memperbarui informasi jika terjadi perubahan signifikan.***










