Bakung Menguat, Dua Sistem di Hindia Picu Peringatan BMKG
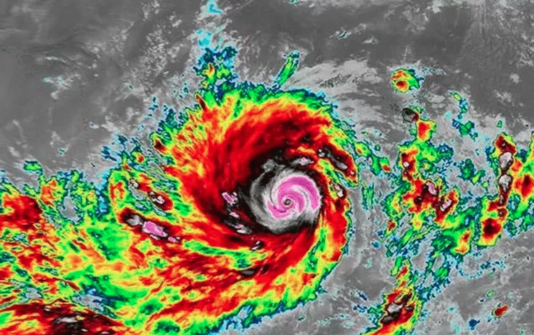
CakrawalaWorld.net – BMKG mengonfirmasi Bibit Siklon 91S di Samudra Hindia barat daya Lampung berkembang menjadi Siklon Tropis Bakung pada Jumat, 12 Desember 2025 pukul 19.00 WIB. Sistem mencatat angin maksimum … Read More










